Wir haben den letzten Stopp unserer Reise erreicht.
Das Dschungelgrün ist einer schroffen und heißen Insellandschaft gewichen. Vereinzelt schlängeln sich Mangrovenwälder um die Inseln. Farblich sticht das türkisfarbene Meer hervor. Es wurde Zeit das Riff am Hotel zu erforschen.

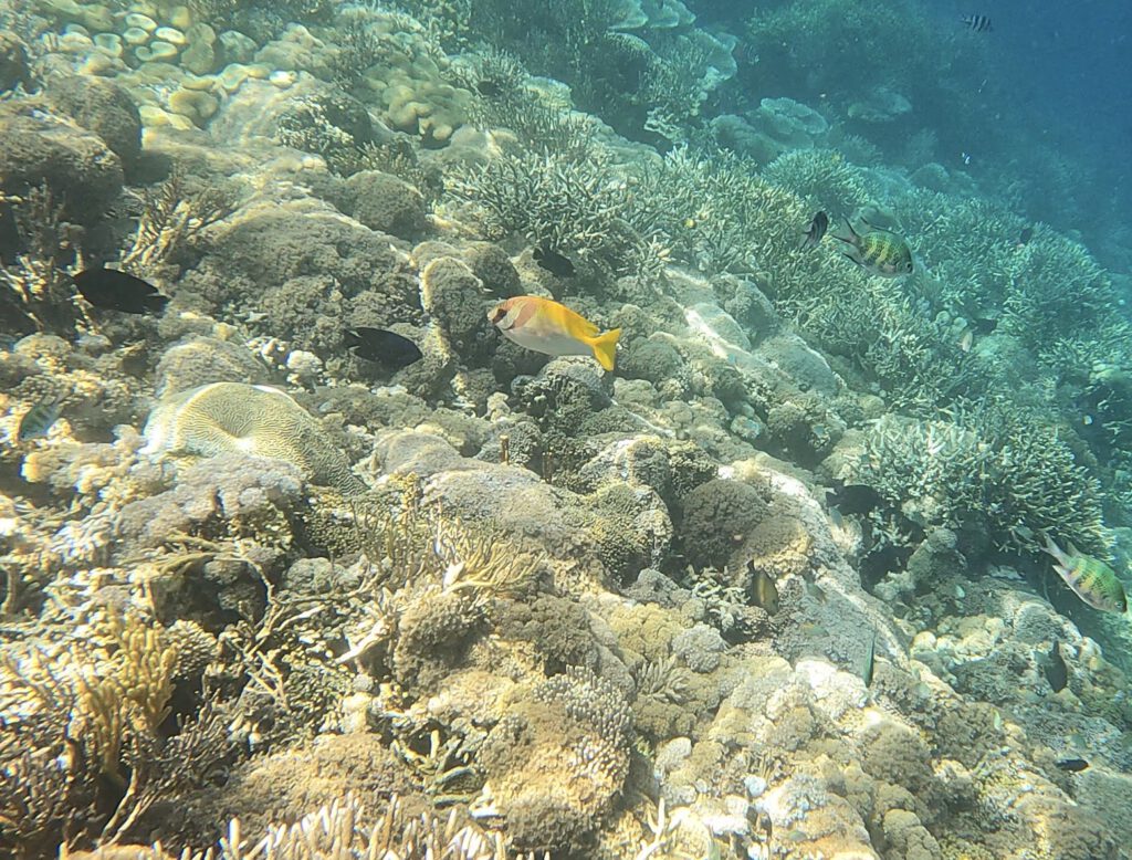
Die Korallen sind wahrhaft schöner als auf den Malediven und auch die Vielfalt der Fische ist überwältigend. Im Riff tummeln sich neben mehr oder weniger bekannten Fischen auch Tintenfische und Adlerrochen.




Aber Komodo hat wahrlich noch mehr zu bieten außer unser Hausriff.
Wir buchten eine Tour zur Insel Komodo. Ist sie doch der Namensgeber der größten Echsen auf der Erde…der Komodo-Warane. Im Nationalpark leben ca. 3.500 Exemplare. 6 davon durften wir in freier Wildbahn sehen.


Man sagt, sie sind schüchtern, aber der Schein trügt. Gehören doch Affen, Hirsche und Wasserbüffel zu ihrer Leibspeise. Verwundert von der extrem trockenen Lebensumgebung der Echsen begaben wir uns weiter auf Tour. Diesmal ging es wieder ins Wasser, es wurde uns ein weiteres Highlight versprochen.

Nein, dieser Ausblick war es nicht. Das war nur ein Zwischenstopp auf dem Weg zur Insel Komodo. Mit der Drohne wäre das Bild definitiv einfacher zu bekommen, führten uns doch hunderte Stufen bei 30 Grad nach oben. Dafür gab es später eine wirklich atemberaubende Abkühlung.

Es ist uns tatsächlich gelungen, ein Manta Rochen aus unmittelbarer Nähe zu filmen. Da bleibt einem der Atem weg. Zwei Tage später sollten wir noch einmal das Glück haben, einen Manta Rochen zu filmen.
Zwei Touren haben wir uns noch gegönnt, es ging noch einmal in den Nationalpark. Vormittags ging es zu zwei Schnorchelspots, ja hier hatten wir unser zweites Rendezvous mit einem Manta, der es sich an der Putzstation hat gutgehen lassen (das Video gibt es später in unserem Film) und wir durften noch einmal ein Riff sehen, das einem botanischen Garten glich.

Am Nachmittag haben wir auf der Insel Rinca einiges über die Warane erfahren und konnten anschließend während des Sonnenuntergangs tausende Flughunde beobachten, die von ihrem Schlafquartier aus zur Futtersuche aufbrachen.



Wir werden die letzten Tage hier einfach noch mit schnorcheln, relaxen, lesen und vielleicht noch mit einer balinesischen Massage ausklingen lassen. In Singapur erwartet uns Freitag noch ein kleines Highlight, bevor wir dann endgültig wieder in Richtung Heimat aufbrechen werden.
